family CERAMBYCIDAE Latreille, 1802
subfamily CERAMBYCINAE Latreille, 1802
tribe Callidiini Kirby, 1837
genus Semanotus Mulsant, 1839
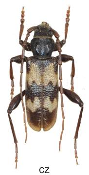
Semanotus undatus (Linnaeus, 1758)








Velikost 7-14 mm.
Bionomie. Napadá především oslabené stromy, silnější větve a kmeny od 4 cm cca do 25 cm. Larva vyžírá pod kůrou poměrně široké chodby, ke kuklení vstupuje do dřeva a kuklí se v hákovité komůrce převážně 10-30 mm hluboko. Na Znojemsku a zřídka na Slovensku jsem zjistil vývoj na normálně rostlých stromech, na Nízkých Tatrách přednostně na horských pokroucených, svalovitých a smolných větvích a kmenech. Koncem léta se larvy zakuklují a líhnou se imaga, která přezimují v komůrkách. Dobu vývoje jsem zjistil jedno i dvouletou. Hron & Hanousek (1986) udávají podle domácího chovu jedno až tříletou, převážně dvouletou. - Imaga vylétají údajně brzy na jaře, venku jsem imago nikdy nenašel a podle údajů na lokalitních štítcích nelze zjistit dobu venkovního výskytu. V literatuře se udává IV.-VI.
Živné rostliny - Jehličnaté dřeviny Picea, uváděny jsou také Abies a Pinus.
Variabilita. Světlé pásky na krovkách se někdy rozšiřují, nebo bývají redukovány.
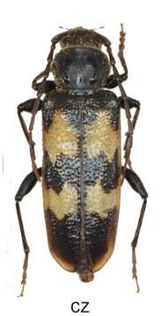
Semanotus russicus russicus (Fabricius, 1776)

Velikost 6-18 mm.
Bionomie. Bývalé lesostepní pastviny na vápencových podkladech, kde Juniperus byl téměř jedinou dřevinou, která se zde sama zmlazovala. Larvy se vyvíjejí pod kůrou silnějších větví a kmínků (3-7 cm, max. 14 cm). Často napadá i dolní části kmínků, takže vývoj larev pak probíhá také pod kůrou podzemní části i kořenů. Larvy vyžírají poměrně široké chodby v běli a kůře, které se při silnějším napadení postupně spojují, až kůra odpadává. Chodby jsou široké 7-10 mm, ucpané drtí s exkrementy. Kuklí se v hákovité komůrce různě hluboko ve dřevě. Doba vývoje podle domácích chovů jeden rok, ale podle přezimujících larev, zjištěných v přírodě i v domácím chovu je zřejmě i dvouletá. Samičky kladou vajíčka přednostně do oslabených větví, ale často i do zcela živých. Nalezl jsem víckrát na živých větvích již dobře rozvinuté nedokončené požerky zavalené rostoucím dřevem. Tentýž poznatek měl i Sobota. Kuklí se koncem léta a také se líhnou nová imaga, která přezimují ve dřevě. - Venkovní výskyt imag se udává již od III. (na Slovensku zřejmě IV.-V.). Imaga nenavštěvují květy.
Živné rostliny - Zjištěn pouze v Juniperus.
Semanotus laurasii laurasii (P. H. Lucas, 1852)

Semanotus laurasii corsicus Croisandeau, 1890

Bionomie velmi podobná Semanotus russicus Fabricius
Semanotus undatus Linnaeus, 1758 SK Picea
Velké chodby jsou od Callidium


Semanotus russicus russicus Fabricius, 1776 SK Juniperus




Tento druh se vyvíjí I v podzemních částech Juniperus

Semanotus laurasii laurasii P. H. Lucas, 1852 FR Juniperus



